MOLD PATTERNS ON WALLBOARD AS A RESULT OF COLD SPOTS
by 
Charles C. Roberts, Jr.
Mold, a member of the elementary plant kingdom known as Fungi, 
grows on surfaces as long as spores are present, there is a nutrient 
source, moisture is present and the temperature ranges from about 
40F to 100F. In many homes throughout the United States, mold 
spores are omnipresent, indoor temperatures range from 50-80F, 
interior surfaces provide nutrients and moisture is present. Figure 1 
is a view of mold growth in the typical cold, damp, dark, 
unventilated corner of a room or closet. Most will agree that this is 
the usual mold growth scenario.
 
 
Figure 1
 
 Figure 2
Figure 2 shows a very fine textured mold pattern on a ceiling in a 
well ventilated, bright room that appears to violate all the 
conditions necessary for mold growth. The ventilation and 
apparent lack of moisture suggest that mold growth would be 
unlikely in this area.  A significant ingredient on what is happening 
here is most likely a cold spot on the ceiling as a result of a 
building defect or building feature. The cold spot results in 
condensation, which appears to promote a fine textured mold 
growth. In order to check out this theory, a test was performed 
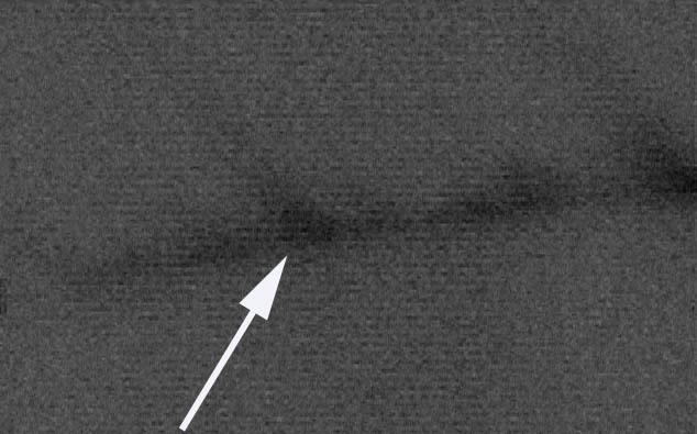
using infrared thermography.  The arrow in Figure 3 points to a 
fine textured mold pattern on a cathedral ceiling of a residential 
building. 
 
Figure 3
 
Figure 4
Figure 4 is an infrared thermogram of the same area showing light 
areas as warmer shades and cold areas as darker shades. The dark, 
cold areas are identical in pattern to that of the visible fine textured 
mold pattern shown in Figure 3. The cold spots in this ceiling were 
a result of small defects in the insulation. Figure 5 depicts a 
drawing of a gap in thermal insulation that can cause a cold spot on 
a cathedral ceiling.  Many other conditions, such as missing 
insulation, a fold in the insulation and water damaged insulation, 
can cause a cold spot, which encourages this fine textured mold 
development.
 
Figure 5
Figure 6 is a view of fine textured mold development near eaves on 
an exterior wall. Figure 7 shows an identical thermal pattern in that 
area, which is most likely a result of air infiltration through 
improperly installed bats of insulation.
 
Figure 6
 
Figure 7
This fine textured mold is often a result of moisture condensation 
on cold spots on exterior walls and ceilings. Cleaning of the 
affected area may not be a permanent solution to the problem if all 
environmental conditions such as humidity and temperature remain 
unchanged, because the cold spot on the wall or ceiling surface is a 
significant factor.  The elimination of the cold spot will facilitate a 
long term solution. 
FOR TECHNICAL ARTICLES CONTACT CLAIMS MAGAZINE AND ASK
FOR A REPRINT OF A PAST TECHNICAL NOTEBOOK ARTICLE
CLAIMS MAGAZINE